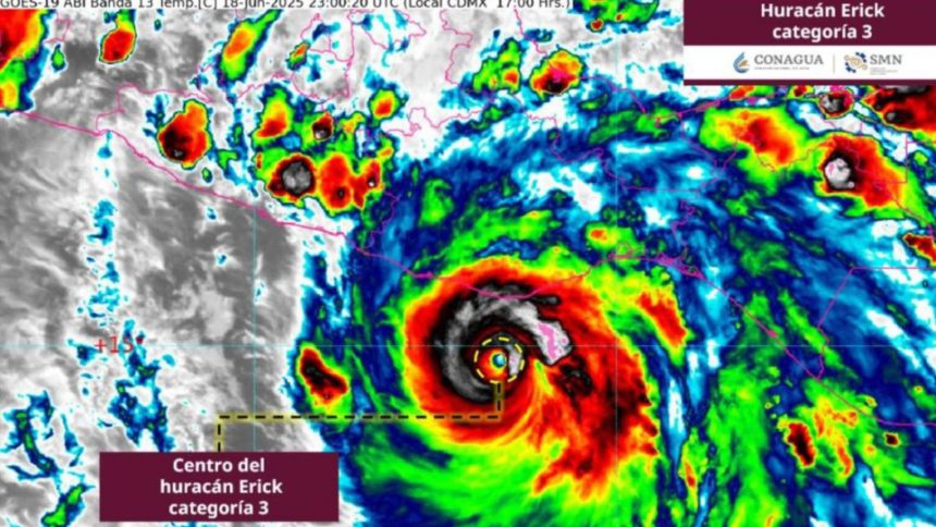
El huracán Erick, clasificado como categoría tres en la escala de Saffir-Simpson, llegó a la costa este jueves por la mañana en el estado de Oaxaca, en el sur de México, según informó el Servicio Meteorológico Nacional (SMN).
El huracán Erick, que alcanzó categoría tres en la escala Saffir-Simpson, impactó en Santiago Pinotepa Nacional, Oaxaca, con vientos máximos sostenidos de 205 kilómetros por hora (km/h) y rachas de hasta 250 km/h. Según el SMN, se desplaza hacia el noroeste a una velocidad de 15 km/h.
En su último informe, la entidad indicó que a las 05:30 horas, tiempo del centro de México (11:30 GMT), el ciclón, que es el primero de la temporada en el Pacífico, se encontraba en tierra, a 30 kilómetros al este de Punta Maldonado, Guerrero.

Lea también:



