Oxaca

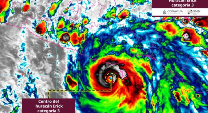
Huracán Erick llegó a Oaxaca, México con categoría tres

Huracán Erick llegó a Oaxaca, México con categoría tres

El huracán Erick, que alcanzó categoría tres en la escala Saffir-Simpson, impactó en Santiago Pinotepa Nacional, Oaxaca.

19 de junio de 2025