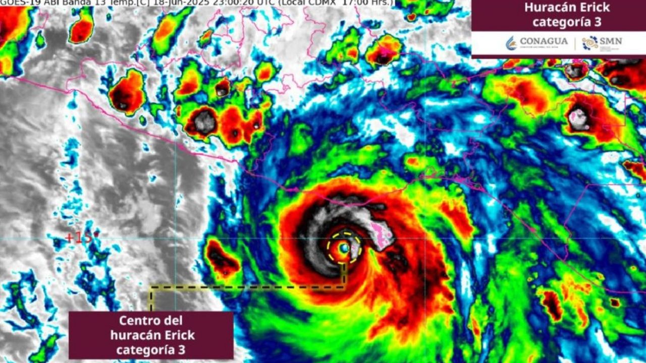
El huracán Erick, que alcanzó categoría tres en la escala Saffir-Simpson, impactó en Santiago Pinotepa Nacional, Oaxaca.

Huracán Erick. Foto cortesía.
El huracán Erick, clasificado como categoría tres en la escala de Saffir-Simpson, llegó a la costa este jueves por la mañana en el estado de Oaxaca, en el sur de México, según informó el Servicio Meteorológico Nacional (SMN).
El huracán Erick, que alcanzó categoría tres en la escala Saffir-Simpson, impactó en Santiago Pinotepa Nacional, Oaxaca, con vientos máximos sostenidos de 205 kilómetros por hora (km/h) y rachas de hasta 250 km/h. Según el SMN, se desplaza hacia el noroeste a una velocidad de 15 km/h.
En su último informe, la entidad indicó que a las 05:30 horas, tiempo del centro de México (11:30 GMT), el ciclón, que es el primero de la temporada en el Pacífico, se encontraba en tierra, a 30 kilómetros al este de Punta Maldonado, Guerrero.
Lea también:
Medios aseguran que Trump aprobó planes de ataque a Irán
Esta entrada ha sido publicada el 19 de junio de 2025 12:24 PM
Cristiano Ronaldo levantó este jueves su primera Liga de Arabia Saudí, la décima del Al Nassr, después anotar un doblete…
El proyecto, que nació desde las bases comunitarias bajo la iniciativa del Poder Popular, contó con el respaldo técnico y…
Estudiantes de educación media recibieron las orientaciones de los funcionarios del Consejo de Derechos.
Con estos recursos, la alcaldesa Ana Fuentes garantiza la culminación del 100% del proyecto que beneficiará a dos sectores de…
Fedecámaras Monagas realizó la Master Class “Convirtiendo expectativas en oportunidades positivas”, una actividad formativa dirigida a empresarios, emprendedores, profesionales y…
Este proyecto impacta de manera directa a cinco familias de la localidad, beneficiando a un aproximado de 30 habitantes de…
Bad Bunny primero estará en Barcelona este viernes y el sábado, y en Madrid los días 30 y 31 de…
Las actividades contaron con la presencia de la primera dama del municipio, Yirma Mérida y demás trabajadores, coordinadores y funcionarios…
Estas formaciones cumplen el objetivo de promover la participación de las mujeres, con sus ideas, en los proyectos socioeconómicos que…
La serie al mejor de tres contra Centellas de Guayana arranca este jueves (7:00 p.m.) en Maturín, continuando el sábado…
Durante la actividad, el Gobierno regional ofreció diversos servicios médicos y sociales, incluyendo atención psicopedagógica y asesoría legal.
La comisión estuvo integrada por la coordinadora estatal del Senades, Lcda. Carolina Barreto; la fiscal auxiliar superior, Abg. María Gabriela…
¿Usted qué opina? Deje su comentario